Курсовая работа: Лесомелиорация ландшафтов Завьяловского лесничества
ФЕДЕРАЛЬНОЕ ГОСУДАСТВЕННОЕ ОБРАЗОВАТЕЛЬНОЕ УЧРЕЖДЕНИЕ
ВЫСШЕГО ПРОФЕССИОНАЛЬНОГО ОБРАЗОВАНИЯ
«ИЖЕВСКАЯ ГОСУДАРСТВЕННАЯ СЕЛЬСКОХОЗЯЙСТВЕННАЯ АКАДЕМИЯ»
Кафедра лесоводства и лесных культур
КУРСОВАЯ РАБОТА
по лесомелиорации ландшафтов
Выполнил: студент 741 группа
Мокрушин Ф. С.
Проверил: доцент Альков Н.К.
Ижевск 2010
Содержание
Введение…………………………………………………………………….3
1 Природные условия Завьяловского лесничества…………………..…..4
1.1 Наименование и местоположение лесничества………………………4
1.2 Климат…………………………………………………………………..4
1.3 Рельеф. Почвы. ……………………………………………………… ..6
1.4 Гидрологические условия………………………………………………
2 Специальная часть……………………………………………………….8
2.1 Организация территории………………………………………………8
2.2 Агротехнические мероприятия……………………………………….9
2.3 Лесомелиоративные мероприятия в приводораздельной зоне…….10
2.4 Лесомелиоративные мероприятия в присетевой и гидрографической зонах……………………………………………………………………………....11
2.5 Защитные насаждения вокруг населенных пунктов……………..…16
2.6 Защитные насаждения вдоль транспортных путей…………………25
Заключение…………………………………………………………….….30
Список литературы…………………………………………………...…..31
Приложения…………………………………………….…………………32
Введение
Одной из важнейших государственных задач является сохранение и целенаправленное преобразование ландшафтов. Действенным рычагом в решении этой проблемы является создание средозащитных лесных насаждений, выполняющих многофункциональную роль в преобразовании и восстановлении ландшафтов. Эти насаждения создают путем производства лесных культур — лесных насаждений, созданных посевом или посадкой. Лесные культуры, выращиваемые на площадях, где прежде рос лес, называют искусственным лесовосстановлением, а на землях, где ранее его не было — лесоразведением.
Лесные насаждения играют исключительную роль в поддержании экологического равновесия, в стабилизации сбалансированного взаимодействия основных экологических систем биосферы. По устойчивости и приспособленности к изменениям внешних условий леса превосходят все другие экосистемы. Будучи одной из важнейших составных частей биосферы, они выступают как экологический фактор огромного значения в охране окружающей природной среды, в экологии самого человека, в жизни нынешнего и будущих поколений людей.
Лесомелиорация ландшафтов — наука и отрасль общественного производства, которые используют лесные насаждения для защиты, преобразования и восстановления ландшафтов, а также улучшения их функционирования.
1 Природные условия Завьяловского лесничества
1.1Наименование и местоположение лесничества
Завьяловское лесничество Министерства лесного хозяйства Удмуртской Республики расположено в центральной части Удмуртской Республики на территории Завьяловского района. Административный центр района – с. Завьялово. Завьяловское лесничество граничит на севере – с Якшур-Бодьинским, на западе – с Увинским, на юге – с Яганским, на юго-востоке – с Сарапульским, на северо-востоке – с Воткинским лесничествами, на востоке – с Пермским краем. Протяженность территории лесничества с севера на юг около 50 км, а с запада на восток — 70 км.
Общая площадь Завьяловского лесничества по состоянию на 01.01.2008 г. (Лесохозяйственный регламент, 2008) составляет 89285 га. Распределение территории лесничества по муниципальным образованиям приведено в таблице 1.
Таблица 1 – Структура лесничества
Наименование участковых лесничеств | Административный район (муниципальное образование) | Общая площадь, га |
Люкшудьинское | Завьяловский район | 23537 |
Заречное | Завьяловский район | 21598 |
Подшиваловское | Завьяловский район | 26251 |
Пригородное | Завьяловский район | 17899 |
Всего по лесничеству: | 89285 |
Вся территория Завьяловского лесничества расположена в районе хвойно-широколиственных лесов европейской части Российской Федерации, зоне хвойно-широколиственных лесов. Распределение лесов Завьяловского лесничества по лесорастительным зонам и лесным районам приведено в таблице 2.
Таблица 2- Распределение лесов лесничества по лесорастительным зонам и лесным районам
Участковое лесничество | Лесорастительная зона | Лесной район | Перечень лесных кварталов | Площадь, га |
Люкшудьинское | Зона хвойно-широколиственных лесов | Район хвойно-широколиственных лесов европейской части Российской Федерации | 1-210 | 23537 |
Заречное | 1-215 | 21598 | ||
Подшиваловское | 1-235 | 26251 | ||
Пригородное | 1-191 | 17899 |
1.2 Климат
Территория центральной части Удмуртии, где расположено лесничество, относится к приуральской полосе умеренно-холодного влажного климата континентального типа, с суровой продолжительной зимой, коротким теплым летом, хорошо выраженными переходными временами года: весной и осенью. Средняя продолжительность вегетационного периода (при переходе средних дневных температур через 5о С) определяется в 165 дней (с 18 апреля по 28 сентября), но средняя продолжительность безморозного периода составляет лишь 123-130 дней. Высокие летние температуры губительно действуют на самосев и культуры всех древесных пород.
За теплый период года, с апреля по октябрь, осадков выпадает 325 мм или 63 % годовой суммы. На холодный период, с ноября по март, когда осадки выпадают преимущественно в виде снега, приходится 186 мм или 57 % от общего их количества. Больше всего осадков выпадает в теплые летние месяцы. Летние дожди, как правило, носят ливневый характер. В течение года преобладают ветра юго-западного направления, они же имеют наибольшую скорость.
Сильные морозы зимой вызывают морозобоины у лиственных пород. Поздние весенние заморозки отрицательно действуют на цветы и завязи всех древесных пород, вследствие чего удлиняются интервалы между семенными годами и уменьшается годичный прирост древесины. Больше всего от заморозков страдают ясень, дуб, пихта, ель; устойчивы к низким температурам ольха и береза. Поздние весенние заморозки приводят к выжиманию всходов почти всех древесных пород (больше всего страдают всходы ели). При проведении всех лесокультурных работ учитываются крайние даты весенних и осенних заморозков, глубина промерзания почвы и другие.
1.3 Рельеф и почвы
Территория лесничества принадлежит к Нижневятскому дерново-подзолистому плоскоравнинному песчаному району Среднерусской провинции. Местность представляет собой волнистую равнину, расчлененную сетью ручьев, оврагов, балок и рек. Овраги и балки в большинстве неглубокие, но большой протяженности. Преобладают дерново-средне-, сильноподзолистые почвы супесчаного и легкосуглинистого гранулометрического состава. Эти почвы занимают преимущественно пологие и покатые склоны, а также хорошо дренированные водораздельные плато. Также встречаются дерновые, глеевые, серые лесные и дерново-карбонатные выщелоченные почвы. Торфяно-перегнойные почвы занимают площади с отрицательными элементами рельефа. Дальнейшее развитие этих почв приводит к формированию торфяно-болотистых почв и торфяников.
В целом, почвы характеризуются значительным распространением кислых и сильнокислых разностей, невысоким содержанием подвижных форм фосфора и калия. На легких почвах произрастают сосновые и еловые древостои 1 и 2 классов бонитета; на суглинистых дерново-подзолистых и подзолистых почвах – высокобонитетные ельники. Лесные насаждения имеют высокое почвозащитное значение.
1.4 Гидрологические условия
Территория лесничества расположена в бассейне реки Иж, образующейся от слияния речек Большой и Малый Иж. Река Иж является правым притоком реки Камы, ее протяженность 191 км, а площадь бассейна 8220 км2. В пределах территории лесничества река имеет небольшие притоки (Лестовка, Люк, Шурвайка, Кияг, Сентег, Игерманка, Позимь и другие). На территории объекта имеется крупный искусственный водоем – Ижевский пруд (площадь зеркала воды 16 квадратных километров). Ижевский пруд судоходен на протяжении 12,9 км, но в транспортном отношении существенного значения не имеет. По пруду курсируют пассажирские теплоходы от Ижевска до Воложки, протяженность линии составляет 10 км.
2 Специальная часть
2.1 Организационно-хозяйственные мероприятия
Организационно-хозяйственные мероприятия — это организационно-хозяйственный план землепользования, составленный с учетом требований борьбы с эрозией почв. В него входят размер и форма полей и клеток, направление их длинных сторон, правильное размещение культур с учетом их влияния на эрозионные процессы. Организационно-хозяйственные мероприятия создают необходимые предпосылки для правильного сочетания и размещения элементов противоэрозионного комплекса, безопасного в эрозионном отношении использования земель, повышения их продуктивности. Основой противоэрозионной организации территории должна быть классификация земель по их использованию, степени эродированности и потенциальной опасности эрозии с детальным учетом характера рельефа и микрорельефа. Кроме того, учитывается направление поверхностного стока и вредоносных ветров, противоэрозионное значение выращиваемых сельскохозяйственных культур и лесных насаждений. Последнее необходимо учитывать в связи с тем, что почва под культурами по-разному защищена от эрозии. Многолетние травы имеют наибольшее противоэрозионное значение: хорошо скрепляют почву корнями, уменьшают скорость течения воды и повышают плодородие почв. Зерновые культуры имеют меньшее противоэрозионное значение в виду их более редкого стояния и меньшей кустистости. Пропашные культуры более подвержены эрозии, что объясняется частым рыхлением почвы при уходе за ними. Непригодные для земледелия и выпаса скота участки (бросовые земли) отводят под лесные насаждения, сильно смытые водой и развеянные ветром угодья, используются под почвозащитные севообороты с посевом многолетних трав.
На плоских водоразделах и при водораздельной зоне поля севооборотов направлены поперек вредоносных ветров, а на склонах — вдоль горизонталей. Защитные лесные насаждения на территории землепользования размещаются с учетом их наибольшей эффективности.
Для того чтобы правильно составить план использования площади землепользования и разработать эффективную систему противоэрозионных мероприятий, необходимо произвести противоэрозионную организацию территории. Для этого всю территорию землепользования подразделяют на три противоэрозионные зоны: приводораздельную, присетевую и гидрографическую.
В приводораздельную зону входит та часть территории землепользования, на которой отсутствуют резко выраженные процессы водной эрозии. Сюда входят водораздельные плато и прилежащие к ним склоны с уклоном до 3°. Основные мелиоративные мероприятия в приводораздельной зоне должны быть направлены на борьбу с засухами, суховеями и пыльными бурями.
В присетевую зону включают участки землепользования с процессами плоскостной эрозии — смыв более или менее равномерного слоя почвы со всей поверхности. Эти участки имеют уклон от 30до 90, прилегают к приводораздельной зоне и выделяют под почвозащитные севообороты в основном для борьбы со смывом почвы.
К гидрографической зоне относят гидрографическую сеть и прилежащие к ней склоны с крутизной 9° и более. Под гидрографической зоной понимают систему естественных понижений на поверхности земли, по которой стекают воды поверхностного стока, поступающие с прилегающих склонов.
При значительной концентрации вод поверхностного стока возникает размыв почвы, результатом которого является образование оврагов. Под оврагами следует понимать современное эрозионное образование в виде промоины, возникающей в результате размыва и выноса почвы потоками талых и ливневых вод. Овраг со всеми его ответвлениями от основного ствола называют овражной системой. Следует различать донные и береговые овраги. Донные овраги возникают на дне древней гидрографической сети вследствие концентрации здесь вод поверхностного стока. Береговые овраги образуются в результате размыва берегов древней гидрографической сети.
Для гидрографической зоны характерны процессы линейной эрозии почва и подстилающие ее породы разрушаются в вертикальном по отношению к водным потокам направлении. Потоки сосредоточены в узком русле. Проектируемые мелиоративные мероприятия в этой зоне в первую очередь должны быть направлены на борьбу с линейной эрозией, вред от которой больше, чем от плоскостной.
2.2 Агротехнические мероприятия
Агротехнические мероприятия должны обеспечивать усиленное во-допоглощение почвами, перехват талых и ливневых вод, повышать плодородие почв, препятствовать ветровой и водной эрозии, улучшать почвенный микроклимат. Указанные мероприятия включают при наличии водной эрозии глубокую обработку почвы по горизонталям, проведение специальных водозадерживающих приемов обработки (прерывистое бороздование, крестование, лункование, щелевание и др.), углубление пахотного слоя, снегозадержание и регулирование снеготаяния, внесение удобрений. Это способствует поднятию плодородия.
Выполнение агротехнических мероприятий на высоком уровне дает большой эффект. Проведение прерывистых борозд в количестве 4 тыс. шт./га позволяет задержать на 1 га пашни дополнительно до 320 м3 воды. Прерывистые борозды можно создаем однокорпусными плугами. Борозды нарезают длинной 5-6 м с разрывами через 1-1,5 м. На супесчаных и суглинистых почвах при крутизне склона 2° их проводят примерно через 10 м. На более крутых склонах это расстояние уменьшают до 4 — 6 м.
Наиболее эффективный водозадерживающий прием обработки почвы — лункование, проводимое дисковыми лункоделателем ЛОД-110, который образуют замкнутые лунки длиной до 130 см, шириной 30 — 35 см и глубиной по центру 12 — 17 см. На поверхности 1 га пашни получают до 13000 лунок общим объемом 250 — 300м3 .
2.3. Лесомелиоративные мероприятия в приводораздельной зоне
В приводораздельную зону входит та часть территории землепользования, на которой отсутствуют резко выраженные процессы водной эрозии. Сюда входят водораздельные плато и прилежащие к ним склоны с уклоном до 3°. Основные мелиоративные мероприятия в приводораздельной зоне должны быть направлены на борьбу с засухами, суховеями и пыльными бурями.
Полезащитные полосы защищают пашни и сельскохозяйственные культуры от воздействия неблагоприятных природных и антропогенных факторов. Полосы создают в районах со слабым проявлением водной эрозии на плоских водоразделах и пологих склонах крутизной 1,5-2,0º. Их закладывают в двух взаимно перпендикулярных направлениях. Продольные лесные полосы располагают перпендикулярно наиболее вредоносным ветрам, господствующим в данной местности. Допускается отклонение продольных от перпендикулярного направления вредоносных ветров до 30º. Поперечные полосы создают по возможности перпендикулярно продольным. Полезащитные полосы создаем продуваемой конструкции, схема смешения – рядовая, тип смешения – древесный. В качестве главной породы выбираем ель, сопутствующей породой будет выступать тополь.
Общая протяженность продольных и поперечных полос составляет 4225м, ширина полос- 15 м. Следовательно, площадь полезащитных полос составляет 6,3 га. Полезащитные полосы создаем сеянцами ели и тополя, с размещением 4×1 м,
Схема смешения следующая:
Т Т Т Е=50%
Е Е Е Т=50%
Е Е Е
Т Т Т
Густота = 10/(4*1)=2,5 тыс. шт./га, следовательно, на всей площади = =2,5*6,3 =15,75 тыс. шт.
Количество посадочного материала равно: ели и тополя по — 15,75*0,5=7,9 тыс.шт. (1,25 тыс. шт./га).
Таблица 3 Расчетно – технологическая карта на создание полезащитных лесных полос
Комплекс работ | Ед. изм. | Сроки проведения | V раб | N пос. мат | Машины и механ. |
Подготовка почвы | га | апр-май | 6.3 | 7,9 | ТДТ 55 +ПКЛ — 70 |
Весенняя культивация | га | апр-май | 6.3 | 7,9 | КПС-4, МТЗ-82 |
Заготовка посадочного материала | тыс. шт | апр-май | 7,9 | 7,9 | Вручную |
Транспортировка сеянцев | км | апр-май | 4,2 | 7,9 | ГАЗ – 66 |
Посадка сеянцев | тыс. шт | май | 7,9 | 7,9 | ТДТ 55 МЛУ — 1 |
Оправка сеянцев | га | май | 6.3 | 7,9 | В ручную |
Культивация | га | июнь | 6.3 | 7,9 | КПС-4, МТЗ-82 |
Уходы | га | июль | 6.3 | 7,9 | КРЛ-1.2 |
2.4. Лесомелиоративные мероприятия в присетевой и гидрографической зонах
Для гидрографической зоны характерны процессы линейной эрозии — почва и подстилающие ее породы разрушаются в вертикальном по отношению к водным потокам направлении. Потоки сосредоточены в узком русле. Проектируемые мелиоративные мероприятия в этой зоне в первую очередь должны быть направлены на борьбу с линейной эрозией, вред от которой больше, чем от плоскостной.
Стокорегулирующие лесные полосы предназначены для задержания и регулирования поверхностного стока, предотвращения смыва и размыва почвы на нижележащих частях склонов, равномерного снегораспределения, а также выполняют полезащитную роль. Располагать полосы желательно вдоль горизонталей.
Стокорегулирующие полосы создают ажурной, продуваемой или умеренно ажурной конструкции, шириной не более 15 м. На склонах крутизной более 4о расстояние между стокорегулирующими полосами не должно превышать 200 м. Первая стокорегулирующая полоса устраивается на границе с приводораздельной зоной, следующие – вниз по склону.
Непременным условием обработки почвы при создании стокорегулирующих полос является пахота поперек склона (по горизонталям). В остальном агротехника аналогична применяемой при создании и выращивании полезащитных полос. Для повышения противоэрозионной роли стокорегулирующих полос их создание следует сочетать с обвалованием нижней опушки, сооружением прерывистой канавы в нижнем междурядье или глубоким щелеванием междурядий. В данном проекте запроектировано защитные лесополосы, общей протяженностью 15000м.
Создаем стокорегулирующую полосу шириной 15м, протяженностью 15000м, общая площадь-22,5га. Стокорегулирующие полосы создаем ажурной конструкции, схема смешения – древесно-кустарниковая, в качестве главной пород выбираем сосну и березу, а кустарник возьмем смородину. Размещение сосны и березы 2×3 м, смородины — 2×1 м.
Схема смешения пород:
к – к — к к-42%
к – к — к С-29%
С – С – С Б-29%
Б – Б – Б
Б – Б – Б
С – С – С
к – к — к
Густота (сосна и береза) = 10/(2*3)=1,7 тыс. шт./га, следовательно, на всей площади =1,7*22,5 =38,25 тыс. шт. Количество посадочного материала равно: сосны и березы по — 38,25*0,29=11 тыс.шт. (0,49 тыс. шт./га).
Густота (смородина) = 10/(2*1)=5 тыс. шт./га, следовательно, на всей площади =5*22,5 =112,5 тыс. шт. Количество посадочного материала смородины равно 112,5 *0,42 = 47,25 тыс.шт. (2,1 тыс. шт./га).
Общее количество посадочного материала составляет 11*2+47,25= =69,25 тыс. шт.
Таблица 4 Расчетно – технологическая карта на создание стокорегулирующих лесных полос
Комплекс работ | Ед. изм. | Сроки проведения | V раб | N пос. мат | Машины и механ. |
Вспашка почвы с оборотом пласта на глубину 30см | га | апр-май | 22,5 | 69,25 | ПЛН 4-35, ТДТ-55 |
Посадочная культивация с одновременным боронованием | га | апр-май | 22,5 | 69,25 | КПС-4, БЗСС-1, МТЗ-82 |
Заготовка посадочного материала | тыс. шт | апр-май | 69,25 | 69,25 | Вручную |
Транспортировка сеянцев | км | апр-май | 15 | 69,25 | ГАЗ – 66 |
Посадка сеянцев | тыс. шт | май | 69,25 | 69,25 | ТДТ 55 МЛУ — 1 |
Оправка сеянцев | га | май | 22,5 | 69,25 | В ручную |
Культивация | га | июнь | 22,5 | 69,25 | КПС-4, МТЗ-82 |
Уходы | га | июль | 22,5 | 69,25 | КРЛ-1.2 |
Приовражные лесные полосы предотвращают рост действующего оврага, защищают его откосы от размыва, регулируют поверхностный сток, улучшают микроклимат на прилегающей территории, оттеняют откосы, способствуют естественному заращиванию и рациональному использованию эродированных земель. Полосы размещают вдоль оврагов на расстоянии ожидаемого осыпания откоса, но не ближе 3-5 м от бровки оврага с установившимися откосами или на расстоянии 1-2 м от будущей бровки. Приовражные полосы создают плотной конструкции шириной 12,5-21 м.
При наличии отвершков и промоин приовражную полосу создают вдоль каждого из них, но только в том случае, если расстояние между ними более 100 м. При меньшем расстоянии создают одну полосу, расположенную выше вершин отвершков и промоин, а площадь между ними подлежит залужению или облесению.
Вдоль вершины оврага, в которую поступает основной объем стекающих вод, полосы, высаживают шириною 21 м и более. Эти полосы, расположенные по обеим сторонам оврага, должны быть продлены выше вершины на 20 – 50 м с оставлением между ними задернованного дна водоподводящего тальвега шириной 3 – 4 м. Величина продления полосы выше вершины определяется исходя из скорости роста оврага.
Облесение склонов и донной части оврагов проводят после завершения комплекса противоэрозионных работ в пределах водосбора и русловой части овражно-балочной сети, а также в том случае, если указанные земли нельзя использовать для выращивания трав, плодовых или виноградных культур. Склоны и берега оврагов северных, северо-западных экспозиций наиболее благоприятны для выращивания леса. Склоны и берега южных экспозиций, особенно если они находятся под ударами ветра, имеют неблагоприятные условия для выращивания леса. В пределах каждой из этих экспозиций лучшие лесорастительные условия даются в нижней части берегов. В связи с этим облесительные работы даже на достаточно пологих склонах всегда надо начинать с нижней части. Верхняя и средняя части склонов оврага могут быть оставлены для естественного облесения за счет приовражной полосы, а также за счет насаждения в нижней части склона.
Облесение донной и русловой части оврагов можно проводить сплошной посадкой леса или плодово-ягодных насаждений. В этом случае русло должно быть не размываемым, приближающимся по своей крутизне к углу естественного откоса. При значительном стоке воды и больших скоростях течения центральную часть русла и днища (водоток) оставляют необлесенной для пропуска талых и ливневых вод. В этой части можно высаживать только кустарниковые ивы, которые будут задерживать взвешенные частицы почвы.
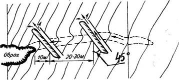
Агротехника выращивания приовражных насаждений должна быть направлена на обеспечение максимального поглощения поверхностного стока, накопление и сохранение влаги в почве, и уничтожение сорной растительности. Способ обработки почвы устанавливается в зависимости от крутизны склона, степени смытости почв и возможности возникновения водной эрозии. Участки с уклоном от 4 до 6° со средне и сильносмытыми почвами пашут на глубину гумусового горизонта с одновременным углублением до 35 — 40 см или проводят глубокое рыхление почвы. Закрепление оврагов и промоин осуществляется путем строительства простейших гидротехнических сооружений: распылителей поверхностного стока водозадерживающих и водоотводящих валов и канав, водосбросных вершинных устройств и донных запруд. Распылители поверхностного стока призваны вывести из ложбин воду на прилегающие задернованные пологие склоны. Для прекращения роста береговых оврагов достаточно иметь 2-3 распылителя. Первый размещают на расстоянии 10-15 м от вершины оврага, второй и третий – на расстоянии 20-30 м от предыдущего.

Рис.1 Схема распылителя полевого стока. Борозды проводят под углом 45° к стоку с отваливанием пласта вниз по склону
Водозадерживающие валы, широко применяемые для борьбы с ростом вершин оврагов. Они задерживают полевой сток, предотвращают рост оврагов, увлажняют почву на прилегающих участках и ослабляют эрозию нижележащих угодий. Наибольший эффект они дают при величине водосборов до 30 га с уклоном поверхности до 2 — 3° и до 5 га — при уклоне — 3-6°. Количество водозадерживающих валов и их размеры зависят от объема воды, подлежащей задержанию. Более эффективна система валов, рассчитанная на полное задержание ливневого стока 10%-ной обеспеченности (максимальный сток за 10 лет). Водозадерживающие валы чаще размещают перед вершиной действующего оврага — первый на расстоянии, равном двойной или тройной высоте вершины оврага. Гребни вала, перемычки и шпоры должны быть строго горизонтальными. Для ограничения движения воды вдоль вала на его концах устраивают шпоры, а на остальной части через каждые 50 м — перемычки. Широкое распространение получили валы, имеющие общую высоту 1,2 м, рабочую — 0,8 — 1,0 м, ширину по гребню — 2 — 2,2 м, ширину основания 5 — 6 м, откосы — полуторные или мокрый откос- двойной, сухой- одинарный. Устройство водозадерживающих земляных валов начинают со вспашки площади, намеченной под гребни вала и выемку. После этого осуществляется насыпка валов бульдозерами или скреперами.
Рис.2 Схема размещения водозадерживающих валов
|
|
Водоотводящие валы и канавы сооружают поперек склона перед вершиной оврага для перехвата и отведения стока в безопасное место. Принципиальное отличие этих сооружений от водозадерживающих валов в том, что они не имеют перемычек и шпор и размещаются под небольшим углом к горизонталям. Крутизна падения русел этих сооружений не превышает 0,5 — 2°.Это обеспечивает замедление скорости потока воды до такой степени, что не вызывает размыва. Рост вершины оврага может быть приостановлен устройством водозадерживающих валов в сочетании с водоотводящими валами и канавами. В этом случае водоотводящие сооружения располагаются между вершиной оврага и первым водозадерживающим валом. Они призваны отвести воду, которая не была задержана водозадерживающими валами, в безопасную в эрозионном отношении зону.
В том случае, если необходимо быстро прекратить рост оврага в длину, а условий для устройства водозадерживающих валов нет, создают водосбросные вершинные сооружения. Они могут быть представлены: быстротоками, ступенчатыми перепадами или консольными сбросами. Быстротоки — наклонные трубы или лотки, по которым вода стекает поля, ольху черную, а затем постепенно с понижением уровня фунтовых вод влаголюбивые породы сменяются более засухоустойчивыми. Ширина дренирующих насаждений зависит от величины зоны подтопления и механического состава почвогрунтов. На участках с почвами и почвообразующими породами легкого механического состава (пески, супеси, легкие суглинки) насаждения создают шириной около 30 м. При наличии тяжелого механического состава насаждения рекомендуют создавать на всей зоне подтопления, где может происходить заболачивание.
понур

.Рис.3. Схематическое изображение водосборных сооружений, применяемых при
закреплении оврагов:1 — быстроток; 2 – двухступенчатый перепад; 3 – консольный сброс
Средние и верхние береговые насаждения закладывают выше волноломных и дренирующих посадок (выше бровки берегового склона). Технология их создания аналогична созданию обычных противоэрозионных насаждений
Протяженность приовражных полос составляет 3075 м, ширина 21 м., площадь – 6,5га. Приовражные полосы создаем потной непродуваемой конструкции, схема смешения – древесно-кустарниковая, в качестве главной пород выбираем сосну и тополь, в качестве кустарника — иву. Размещение сосны и тополя 3×3 м, ивы – 3×1 м.
Схема смешения пород:
к – к – к к – 25%
Т – Т – Т Т – 50%
Т – Т – Т С – 25%
С – С – С
С – С – С
Т – Т – Т
Т – Т – Т
к – к – к
Густота (сосна и тополь) = 10/(3*3)=1,1 тыс. шт./га, следовательно, на всей площади =1,1*6,5 =7,2 тыс. шт. Количество посадочного материала равно: сосны по — 7,2*0,25=1,8тыс.шт. (0,27тыс. шт./га) и тополя – 7,2*0,5=3,6 тыс.шт. (0,6 тыс. шт./га).
Густота (ива) = 10/(3*1)=3,3 тыс. шт./га, следовательно, на всей площади =3,3*6,5 =21,5 тыс. шт. Количество посадочного материала ивы равно 21,5 *0,25 = 5,3 тыс.шт. (0,9 тыс. шт./га).
Общее количество посадочного материала составляет 1,8+3,6+5,3=10,7 тыс. шт.
Таблица 5 Расчетно – технологическая карта на создание приовражных лесных полос
Комплекс работ | Ед. изм. | Сроки проведения | V раб | N пос. мат | Машины и механ. |
Подготовка почвы | га | апр-май | 6,5 | 10,7 | ТДТ 55 -ПКЛ — 70 |
Весенняя культивация | га | апр-май | 6,5 | 10,7 | КПС-4, МТЗ-82 |
Транспортировка сеянцев | км | апр-май | 3,1 | 10,7 | ГАЗ – 66 |
Прикопка сеянцев | тыс. шт | апр-май | 10,7 | 10,7 | Вручную |
Посадка сеянцев | га | май | 6,5 | 10,7 | ТДТ 55 МЛУ — 1 |
Оправка сеянцев | га | июнь | 6,5 | 10,7 | Вручную |
Уход | га | июль — август | 6,5 | 10,7 | Вручную |
На склонах крутизной до 40средне и слабо размытыми почвами почву готовят так же, как и при создании полезащитных полос. Участки с уклоном до 60со средне- сильно размытыми почвами пашут на глубину гумусового горизонта с одновременным углублением до 35-40см. Склоны 60и 120обрабатывают полосами, бороздами или устраивают напашные террасы. Напашные террасы создают путем многократного прохода плуга по горизонталям с отваливанием пласта вниз по склону. Этот агроприем проводят до тех про, пока полотно напашной террасы будет иметь горизонтальную поверхность
Так же создаем илофильтры — многорядные лесные насаждения, создаваемые по дну и склонам балок, оврагов, ложбин, а также на конусах выноса временных водотоков для задержания наносов, поступающих с талыми и дождевыми водами, защиты водоёмов и рек от заиления; один из видов кольматирующих насаждений. Ивы располагают поперёк водного потока. Шириной их 20 — 50 и более м. в узких балках. Создают из кустарников (преимущественно ив), способных за 2 — 3 года образовать большое число побегов, хорошо фильтровать водный поток и задерживать наносы; в широких балках — из кустарников и деревьев (ивы, тополя и др.). Конструкция их плотная. Кустарники размещают на расстоянии 1 м ряд от ряда и 0,3 — 0,5 м между кустарниками в ряду, деревья — соответственно 3 — 5 м и 1 — 2 м. Закладывают ивы посадкой саженцев, сеянцев, черенков и кольев.
Протяженность илофильтров составляет 200 м, ширина 20 м., площадь – 0,4га. Схема смешения – рядовая, Размещение ивы – 1×0,5 м.
Схема смешения пород:
Густота (ива) = 10/(1*0,5)=20 тыс. шт./га, следовательно, на всей площади =20*0,4 =8 тыс. шт.
2.5 Защитные насаждения вокруг населенных пунктов
В условиях города сегодня наибольшее значение имеет загрязнение атмосферы и почв промышленными и транспортными выбросами.
На лесные экосистемы в пригородной зоне все более существенное негативное влияние оказывает рекреация. Городские леса- это лесные массивы, расположенные на городской территории и предназначенные для отдыха населения и сохранения благоприятной экологической обстановки. Зеленая зона- территория за пределами городской черты, занятая насаждениями, выполняющими защитные и санитарно- гигиенические функции и являющимися местом массового отдыха населения. Зеленая зона представляет собой широкий (до 50 км) пояс вокруг города или другого населенного пункта, где сохраняется древесная и кустарниковая растительность, травяной покров и животный мир в целях создания условий для очистки среды от загрязнения, обогащения кислородом воздуха. Ближайшая к городу часть зеленой зоны шириной 10-15 км часто называется лесопарковым защитным поясом, основной структурной единицей которого является лесопарк. Лесопарки — это благоустроенные леса, имеющие определенную ландшафтно-планировочную структуру и предназначенные для кратковременного массового отдыха посетителей. Насаждения лесопаркового пояса образуют зеленые клинья, которые проникают вглубь города и объединяются с другими видами зеленых насаждений. Такая структура озелененных территорий наиболее благоприятна для городской экологии, так как обеспечивает постоянный обмен воздушных масс в приземном слое воздуха.
2.6 Защитные лесонасаждения вдоль транспортных путей
Вдоль автомобильных дорог создают снегозадерживающие, ветроослабляющие, пескозащитные, почвоукрепительные, противоабразионные и другие виды лесонасаждений. Снегозадерживающие насаждения вдоль автомобильных дорог несколько отличаются от таковых на железных дорогах. Это объясняется тем, что снежные заносы на автодорогах меньше препятствуют движению транспортных средств, так как снег сдувается с асфальтового покрытия, а движение транспорта более интенсивное. Снегозадерживающие насаждения создают двух- восьмирядными одно-или двухполосными, расположенными на расстоянии 15-50 м от проезжей части дороги. Для обеспечения видимости на пересечениях автомобильных дорог делают закругления насаждений, чтобы видимость для автоводителя составляла 50-100 м до перекрестка. В насаждения вводят устойчивые к снеголому, долговечные и декоративные древесные породы и кустарники.
На дорогах с интенсивным движением автотранспортных средств почвы придорожных полос земельного отвода, а также произрастающая на них растительность загрязнены тяжелыми металлами свыше предельно допустимых концентраций. Поэтому в этих условиях запрещается введение в лесные насаждения плодовых пород и ягодных кустарников, а также выращивание на полосе земельного отвода сельскохозяйственных растений и использование трав на корм скоту.
Снегозадерживающие насаждения должны полностью аккумулировать расчетное годовое количество снега и распределять его по всей своей ширине сравнительно равномерно или откладывать основную массу снега в межполосных интервалах, не вызывая повреждения деревьев и кустарников навалами метелевого снега. Для обеспечения более равномерного отложения метелевого снега по всей ширине насаждения, деревья с наибольшей густотой ветвления следует в большем количестве размещать в путевой части, а с наименьшей (ясени, гледичия, клен остролистный и др.) или с густыми, но гибкими ветвями (береза) — в полевой. Для надежной защиты пути от метелевого снега, приносимого ветрами косых (по отношению к пути) направлений, необходимо предусматривать удлинение защитных насаждений за пределы снегозаносимых мест. В двухполосных лесных насаждениях ширина межполосного интервала не должна превышать размеров зоны устойчивой аэродинамической тени лесополос (5-6 высот) в период сдачи их в эксплуатацию. В многополосных насаждениях это требование является обязательным только по отношению к ближайшему к пути межполосному интервалу.
При создании снегозадерживающих насаждений необходимо использовать долговечные и устойчивые древесные породы. Наиболее устойчивыми против снеголома являются: ель, дуб, ильмовые, ясень, береза, лиственница, гледичия, клен остролистный, акация желтая и жимолость татарская.
Защитные лесные насаждения на землях автомобильного транспорта являются самостоятельным элементом ландшафта. Они в значительной степени улучшают эстетический вид. Однако эксплуатация автомобильных дорог в значительной степени загрязняет прилегающие территории газообразными и твердыми продуктами сгорания топлива, горюче-смазочными материалами, частицами истирания дорожных покрытий и шин, противогололедными солями и пылью. При всем многообразии источников загрязнения атмосферного воздуха ведущий вклад в общий баланс загрязнений вносит автотранспорт. На него приходится около 70% загрязняющих веществ.
Насаждения в виде лесных полос создают для защиты автомобильных дорог от снежных и песчаных заносов, сильных ветров, водной эрозии. Они предохраняют средства связи от повреждения, а железнодорожные пути от выдувания балласта, размыва и разрушения волнобоем, оползнями, обвалами и осыпями. Насаждения имеют большое эстетическое и санитарно-гигиеническое значение, улучшают микроклимат и повышают урожайность сельскохозяйственных культур на прилегающих полях. Они выполняют природоохранную и средозащитную роль за счет их повышенной аккумулятивной способности.
При проектировании любого вида защитного насаждения необходимо учитывать, что каждое из них выполняет многообразные защитные функции, однако одна из них является основной. С учетом этого и называются лесонасаждения. Они должны удовлетворять следующим основным требованиям: полностью задерживать на минимально необходимой ширине полосы земельного отвода расчетное количество метелевого снега; вступать в эксплуатацию в наиболее короткий срок; состоять из наиболее ценных в хозяйственном отношении, биологически устойчивых и долговечных древесных пород; как можно меньше повреждаться от навала метелевого снега; создавать условия для максимальной механизации лесокультурных работ; обеспечивать возможность непрерывного защитного действия в период лесовозобновительных мероприятий; обладать наибольшей по сравнению с другими видами защит экономической эффективностью и наименьшим сроком окупаемости капитальных вложений.
По своей конструкции путезащитные полосы должны быть плотными (непродуваемыми). Снегозащитная полоса состоит из 3 частей:
1) Путевой декоративной опушки из 1-2 рядов кустарников или деревев, обладающих естественным привлекательным видом и не требующих специальных мер ухода;
2) Основная рабочая часть, состоящая из долговечных, обладающих быстрым ростом, густым ветвлением, хорошей побегопроизводительностью и устойчивостью к снеголому и снеговалу пород;
3) Полевая опушка, состоящая из 1-3 рядов колючих и хорошо поддающихся стрижке древесных пород, играющих роль живой изгороди и выполняющих оградительную функцию.
Агротехника выращивания этого вида насаждений аналогична выращиванию полезащитных полос.
Протяженность снегозадерживающей лесополосы составляет 8000 м, ширина 30 м, площадь – 24га. Снегозадерживающую полосу создаем потной конструкции, схема смешения – древесно-кустарниковая, в качестве главной пород выбираем лиственницу, сопутствующей – липу, в качестве кустарника — акацию. Размещение лиственницы и липы 2,5×1 м, акации – 2,5×0,5 м.
Схема смешения пород:
к – к – к
Лп – Лп — Лп Лп – 33%
Лц – Лц – Лц Лц – 50%
Лц – Лц – Лц к – 17%
Лц – Лц – Лц
Густота (лиственница и липа) =10/(2,5*1)=4 тыс. шт./га, следовательно, на всей площади =4*24=96 тыс. шт. Количество посадочного материала лиственницы – 96*0,5=48 тыс.шт.(2тыс.шт./га), липы — 96*0,33=31,7тыс. шт .(1,32 тыс. шт./га).
Густота (акация) = 10/(2,5*0,5)=8 тыс. шт./га, следовательно, на всей площади =8*42 =336тыс. шт. Количество посадочного материала акации равно 336 *0,17 = 57,1 тыс.шт. (2,3тыс. шт./га).
Общее количество посадочного материала составляет 48+31,7+57,1=136,8 тыс. шт.
Таблица 7 Расчетно – технологическая карта на создание лесных полос вдоль автомобильных дорог
Комплекс работ | Ед. изм. | Сроки проведения | V раб | N пос. мат | Машины и механ. |
Подготовка почвы | га | апр-май | 24 | 136,8 | ТДТ 55 +ПКЛ — 70 |
Весенняя культивация | га | апр-май | 24 | 136,8 | КПС-4, МТЗ-82 |
Заготовка посадочного материала | тыс. шт | апр-май | 136,8 | 136,8 | Вручную |
Транспортировка сеянцев | км | апр-май | 0,8 | 136,8 | ГАЗ – 66 |
Посадка сеянцев | тыс. шт | май | 136,8 | 136,8 | ТДТ 55 МЛУ — 1 |
Оправка сеянцев | га | май | 24 | 136,8 | В ручную |
Культивация | га | июнь | 24 | 136,8 | КПС-4, МТЗ-82 |
Уходы | га | июль | 24 | 136,8 | КРЛ-1.2 |
Ширину полосы земельного отвода определяют исходя из расчетного годового объема приносимого к 1 пог. м пути метелевого снега с учетом почвенно-климатической зоны и расчетной высоты отложения снега внутри насаждения.
За расчетный годовой объем (в м3 /пог. м) метелевого снегоприноса который должен быть задержан проектируемым насаждением, принимается объем вероятностью превышения не более 7 (1:15) — 10 % (1:10)
Ширина полосы земельного отвода для придорожного снегозадерживающего насаждения определяется по формуле:
B = Sp/ hh ,
где В — ширина полосы земельного отвода для снегозадерживающего насаждения, м;
Sp — площадь поперечного сечения размера снегоприноса, численно равная расчетному годовому объему приносимого к пути снега принятой вероятности превышения, м2;
hh — расчетная высота отложения снега внутри насаждения, м.
Землеотвод составляет B =250/3=83,3 м.
Заключение
В связи с тем, что комплекс мер борьбы с эрозией и защитное лесоразведение выполняется под непосредственным руководством специалистов лесного хозяйства, инженер лесного хозяйства должен знать и уметь решать вопросы повышения эффективности мероприятий по борьбе с эрозией почвы и уменьшении отрицательного воздействия неблагоприятных климатических факторов на урожай сельскохозяйственных культур. Это являлось задачей написания данного курсового проекта.
В данном курсовом проекте представлены теоретические основы существующих типов ландшафтов, а также приведены практические и экономические расчеты данных на основе полученного задания. Лесомелиоративные насаждения в комплексе с другими мерами дают положительный эффект по защите почвы от ветровой и водной эрозии, полосы повышают влажность полей, ослабляют вредное влияние засух. Урожайность сельскохозяйственных культур и валовой сбор зерна и других продуктов на полях, защищенных лесными полосами выше, чем на открытых, не только в годы засух, но и благоприятные годы. Кроме того, лесомелиорация полей повышает эффективность применения различных агротехнических приемов, улучшает микроклимат, повышает эстетическую и рекреационную роль ландшафта, оздоровляет среду обитания человека. Все это придает лесомелиорации важное значение в решении проблемы охраны окружающей среды, повышения урожайности сельскохозяйственных культур, сохранения и повышения плодородия почв.
Список литературы
1. Бобров Р.В. Беседы о лесе. – М.: Молодая гвардия, 1979.
2. Защитное лесоразведение: Методические указания к выполнению курсовой работы для студентов специальности 260400/Сост. Н.Д. Васильев, А.С. Яковлев. – Йошкар-Ола: МарГТУ, 1998. – 48 с.
3. Родин А.Р., Родин С.А., Рысин С.Л. Лесомелиорация ландшафтов: учебное пособие для студентов по направлению 656200. 4- е издание доп., испр. – М.: МГУЛ, 2002.
4. Бодров В.А. Лесная мелиорация. – М.: « Лесная промышленность », 1961.

